猫咪

猫咪内外驱虫药的使用方法

外驱药使用方法: 1、猫咪体外驱虫一般方法是拨开猫咪颈背部的毛,将外驱药滴在猫咪的皮肤上,然后揉擦,使药液渗进皮肤。 2、夏季体外寄生虫繁殖速度快,猫咪体外驱虫一般是一个月一次,像冬天寄生虫不常发的季节了一两个月驱虫一次,体内驱虫可以三个月驱...

猫咪

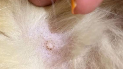
猫掉毛有哪些原因?

猫掉毛的原因: 1、当夏季来临前猫咪会将身上的长毛更换为短毛来散热消暑,而在冬季来临前会将短毛替换成长毛来保暖,季节性的掉毛。 2、猫咪长期进食劣质的猫粮造成营养不良,或是体内摄入的盐分过大就会出现大面积掉毛的现象。 3、猫咪在患有猫藓后皮肤会...

猫咪

索马里猫性格怎么样?

索马里猫性格: 1、聪明温和 索马里猫十分聪明、性格温和,善解人意。可以像猴子般横行,而抓食物或东西的方式也像猴子一样。大部分的索马利猫都懂得开水咙头,因为它们都喜欢玩水。 2、喜欢运动 那蹦紧的肌肉和严肃的脸给人一种非常野性的感觉,它的运动神...

猫咪

美国短毛猫性格怎么样?

美国短毛猫的性格: 1、性格聪慧 机灵,能听懂主人的话,是很善解人意的小猫咪。 2、活泼、互动性强 美短跟其它猫咪不一样,它们喜欢玩耍、喜欢运动,性格活泼的它们乐于跟主人互动,互动性强。 3、好奇心强 美短猫无论到了一个陌生的地方,都喜欢去进行探索...

猫咪

猫咪一天正常应该睡眠几个小时?

猫正常每天要睡足16小时,其中30%时间是酣睡,而70%时间容易惊醒,两种状态交替变更。猫酣睡时,有做梦的迹象,可以从身体外部看到,例如舞动脚爪、胡须抽动、耳朵轻轻地扇动等。 猫咪喜欢睡觉的地方: 1、睡在主人床底。主人的床底可以给猫咪提供庇护,而且...

猫咪

埃及猫性格特点是什么?

埃及猫性格特点: 1、埃及猫非常聪明,喜欢有责任心、有爱心的主人,饲养埃及猫的过程中,主人千万不能把它们抛到一边放任不管;2、埃及猫天生好动,喜欢户外生活,从小让它们在户外进行一定的训练,凭借它们矫健的身手和聪明的大脑,它们都会成功躲避户外的...

猫咪

伯曼猫性格如何?

伯曼猫性格特点: 1、温文尔雅,叫声悦耳。它的声音甜甜的,让主人爱不释手。 2、温顺友好,渴求主人的宠爱,喜欢与主人玩耍,对其他猫也十分友好。它们一旦在新的环境中感到安全,便会流露其甜美及善良的性格。 3、爱干净,甚至有点洁癖。主人要经常跟换猫...

猫咪

猫咪绝对不能吃的食物有哪些?

猫咪绝对不能吃的食物: 1、刺激性食物。大葱、洋葱、韭菜、大蒜、胡椒、芥末等含有刺激类食物的蔬菜会造成猫咪贫血、血尿危险。 2、生肉、生鱼等。生肉里面也会有弓形虫,所以铲屎官在喂食肉类食物的时候要尽量煮熟后再喂,此外生肉也有阻碍钙质的吸收。 3...

猫咪

猫咪一天需要喂食几顿饭?

猫咪一天吃几顿要根据猫的年龄大小和身体状况来决定,幼猫:少食多餐的原则,吃幼猫专用羊奶粉及幼猫猫粮,一天3-4顿。成猫:每天喂食1-2顿即可,如有肠胃问题,每顿八分饱,一日3-4顿。老年猫:每日定时定量3顿。怀孕猫咪及哺乳期猫咪:一日5-6顿,少食多餐...

猫咪

猫咪能喝酸奶么?

猫咪是可以喝酸奶的。酸奶是由牛奶经过发酵处理的,里面难以被消化吸收的蛋白和乳糖已经被分解掉了,但营养物质还是能保留的,因此即便猫咪吃了也不会引起拉肚子的问题。成年猫咪可以适量喝酸奶,但幼猫因为消化功能不健全,还不能喝酸奶。酸奶中含有益生菌...