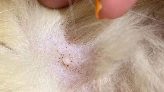
刚出生的小猫有跳蚤怎么办? 日期:2025-09-26 栏目:猫咪 浏览:次 刚出生的小猫有跳蚤的话,主人可以用手帮它们摘除跳蚤,也可以使用体外驱虫药去除跳蚤。 此外,还需要保持卫生,用热水清洗床上用品,并用吸尘器清理地板和家具表面,以去除跳蚤和它们的卵。 上一篇:刚出生的小猫咪怎么照顾 下一篇:刚出生的小猫不会吃奶怎么办 本站所有文章资源内容,如无特殊说明或标注,均为网络资源。如若本站内容侵犯了原著者的合法权益,可联系本站删除。 转载注明出处:http://www.mmpet.com/mao/2611077.html 相关推荐 2025-09-261得过猫瘟的屋子还能再养猫吗 2025-09-262道教中猫代表什么 2025-09-263二个月猫刚到新家该怎么照顾 2025-09-264防止猫掉毛吃什么药 2025-09-265断奶期猫咪吃什么 2025-09-266刚出生的小猫不会吃奶怎么办 2025-09-267刚出生的小猫有跳蚤怎么办? 2025-09-268刚出生的小猫咪怎么照顾 2025-09-269刚生完的小猫不吃奶怎么办 2025-09-2610二个月猫咪怎么喂养